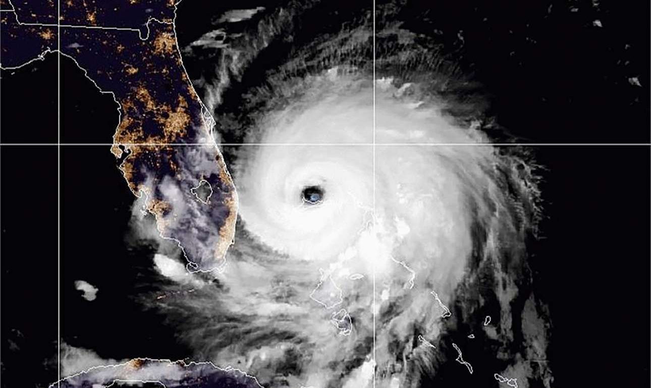
Ο κυκλώνας Ντόριαν αποδυναμώθηκε ελαφρά στη διάρκεια της νύχτας της Δευτέρας προς Τρίτη και υποβαθμίστηκε πλέον στην κατηγορία 3, ωστόσο εξακολουθεί να σφυροκοπεί τις Μπαχάμες με ανέμους που πνέουν με ταχύτητα πάνω από 200 χιλιόμετρα την ώρα.
Παρά την μικρή εξασθένισή του, ο κυκλώνας εξακολουθεί να είναι πολύ επικίνδυνος και οι κάτοικοι οφείλουν να παραμείνουν στα καταφύγια, αναφέρει το πιο πρόσφατο ανακοινωθέν του αμερικανικού Εθνικού Κέντρου Κυκλώνων (NHC).
Παράλληλα στις ΗΠΑ, εκατομμύρια κάτοικοι στη Φλόριντα, τη Τζόρτζια και τη Νότια Καρολίνα έλαβαν εντολή να απομακρυνθούν από τις ακτές, από όπου αναμένεται να περάσει ο Ντόριαν τις προσεχείς ημέρες, και να παραμείνουν στα καταφύγιά τους.
Ο κυκλώνας εξακολουθεί προς το παρόν να βρίσκεται πάνω από το νησί Γκραντ Μπαχάμα καθώς χθες κινήθηκε μόλις κατά 20 χιλιόμετρα.
Αναμένεται να παραμείνει εκεί για μεγάλο μέρος της σημερινής ημέρας προκαλώντας καταρρακτώδεις βροχές και καταστροφικούς ανέμους, σύμφωνα με τις προβλέψεις του NHC.
Στις Μπαχάμες, όπου ο κυκλώνας προκάλεσε τον θάνατο τουλάχιστον πέντε ανθρώπων, ο πρωθυπουργός Χιούμπερτ Μίνις έκανε χθες Δευτέρα λόγο για μια «ιστορικών διαστάσεων τραγωδία» για το αρχιπέλαγος των 700 νησιών, το οποίο αντιμετώπισε κύματα ύψους τριών ως έξι μέτρων λόγω του κυκλώνα. Οι Αρχές ανακοίνωσαν την έναρξη επιχειρήσεων διάσωσης «όπου το επιτρέπουν οι συνθήκες».
Μαρτυρίες στα μέσα κοινωνικής δικτύωσης αναφέρουν ότι η στάθμη των υδάτων φτάνει σε ορισμένα μέρη στο ύψος των στεγών των σπιτιών.
Σύμφωνα με τις πρώτες εκτιμήσεις των αρχών και των υπευθύνων του Ερυθρού Σταυρού που βρίσκονται στην περιοχή, περίπου 13.000 σπίτια ενδέχεται να έχουν υποστεί ζημιές ή να έχουν καταστραφεί από τον κυκλώνα, ο οποίος προκάλεσε σημαντικές ζημιές στα νησιά Αμπάκος και Γκραντ Μπαχάμα.
